|
串本ツアー
2012年6月8日(金)〜10日(日)
![]() |
梅雨入り早々の梅雨の晴れ間〜 串本へ行ってきました〜っ!! 透明度もよくて、出会いもいっぱいでしたよ〜♪ ご参加いただきました皆様 有難うございました〜っ!! |
| ジョーフィッシュくんは まだまだ口内保育中でしたよ〜♪ 赤ちゃんの目がもう見えてきてますね(*^。^*) |
![]() |
![]() |
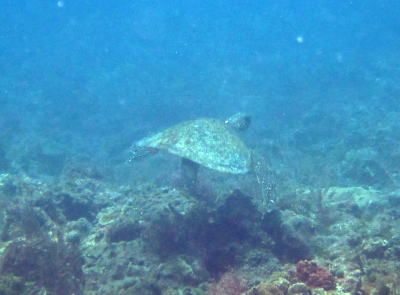
なんとダイバーになったばかりの 初ファンダイブのKさんが見てしまったのは〜 アオウミガメさんでした〜っ(*^_^*) いきなりの出会い、超ラッキーでしたね〜っ! |
| 最初は「こーわーいー」から始まりましたが どんどん上手に潜れるようになられましたね〜っ! |
![]() |
![]() |
そして、最後は 「たっせいかーん!!!」と満面の微笑みです\(^o^)/ OW取得おめでとうございます(^-^) これからも楽しい海と、楽しい時間を ご一緒しましょうね〜♪ |
| そして、なんとなんと、 奇跡の出会いが〜っ!!!!!! ここ数ヶ月もの間 姿をみせていなかったハナヒゲウツボのお子様が まさかの再登場です\(^o^)/ 頑張って冬を越したんですね〜っ! 頑張って大人になってね♪ |
![]() |
![]() |
ボブサンウミウシは なんとこんな季節に産卵中でしたよ〜♪ 季節なんて、関係ないのかもしれないですね! |
| Kさん撮影の アザハタの根〜〜〜っ! これでもかっ、というくらいに押したシャッター フォトコンにでるのはどの写真かな〜? |
![]() |
![]() |
こちらも奇跡の出会い! シモフリカメサンウミウシ しかも、ダブルですぅ〜o(^o^)o かわいいですよ! |
| Hさん撮影のピカチュウウミウシ ばっちり撮れてますね! まだまだいてくれそうな気配?! |
![]() |
![]() |
ビーチにもいよいよ ミナミハコフグの赤ちゃんが登場ですよ〜♪ |
Copyright (C) Dive Shop C.A.A.N All Rights Reserved