|
串本 お盆ツアー
2013年8月9日(金)〜18日(日)
![]() |
この夏のお盆は最長9連休、という方も多かったのではないでしょうか? カーンも、9日から18日まで ゲスト様は入れ替わりつつ 串本の海を端から端まで?! 楽しんできました〜(*^。^*) ご参加いただきました皆様 有難うございました(^○^) |
| メンバーも入れ替わりつつ 11歳のダイバーも登場〜(*^。^*) アニキと名コンビ結成ですね♪ そして、座間味帰りで串本までお越し下さったMさんも 有難うございました! |
![]() |
![]() |
16日夜からご参加の皆様 NEWダイバーが5名誕生(*^。^*) 皆さん、大変お上手でした! またぜひ一緒に潜りに行きましょうね〜\(^o^)/ |
| 備前に登場中のニシキフウライウオも人気者です(^-^) | ![]() |
![]() |
こーんなにちっちゃいジョーフィッシュも見つかって 毎日会いに行ってしまいました〜(*^。^*) 可愛すぎますよ♪ |
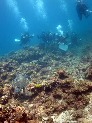
| アオウミガメさんにも連日出会えました〜!! 可愛いカメ吉くんはみんなの人気者です(*^。^*) |
![]() |
![]() |
お盆期間中には、2回BBQを開催〜(^-^) たまたまご一緒した皆様も一緒にかんぱーい!! あっさり系の新メニューも開発しましたよ♪ |
| 後半はさらに人数も増えてワイワイBBQでした(*^。^*) 鉄板の神様の手料理 最高に美味しかったですね〜♪ またBBQしましょうね〜\(^o^)/ |
![]() |
![]() |
OW講習の5名の皆様も2日間の講習を無事に終えて 講習修了〜\(^o^)/ これからはダイバーとして、 さらにダイビング楽しみましょうね〜♪ |
| OW修了のあとは ウミガメさんに会いに行ってきました〜\(^o^)/ 定位置にはいなかったカメさんですが なんと私達の方に泳いでやってきてくれましたよ♪ ありがとーう(*^。^*) |
![]() |
![]() |
初のボートダイビングも無事に終了!! 念願のカメさんにも会えちゃった(^○^) 次回は、もっと色んな生き物に会いに行きましょう! |
| ダイバー認定おめでとうございます(*^。^*) ビーチもボートもきれいで楽しかったね〜♪ また潜りに行きましょうね〜!! 有難うございました! |
![]() |
Copyright (C) Dive Shop C.A.A.N All Rights Reserved